Poperinge New Military Cemetery
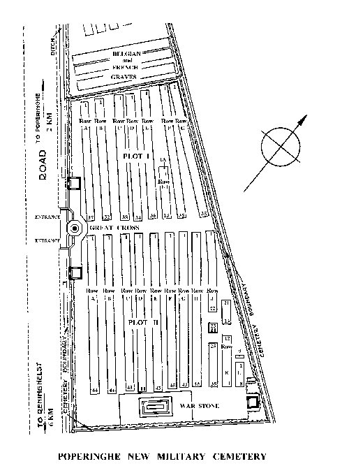
  • Plot II rij F : 6 van de 45 doden zijn 'Shot at dawn'
Praktische info
Situering
Deken De Bolaan
Poperinge, Poperinge
Grondplan-luchtfoto
Coördinaten
GPS-Referentie R5873 - Poperinge New Military Cemetery
DMSX N 50°50'52.2'' - E002°43'59.4''
DMX N 50°50.870' - E002°43.991'
D N 50.847834° - E002.733179°
UTM 31U E 481216 N 5632937
GOOGLE EARTH 50 50.870 N, 002 43.991 E
Kaarten
• Mapquest
Algemene info
Poperinge-stad was bijna de hele oorlog in Britse handen. Het was een belangrijke plaats omdat het de dichtste plaats bij Ieper was die relatief veilig was voor bombardementen en aanzienlijk groot. Aanvankelijk was het een centrum voor Casualty Clearing Stations maar in 1916 werden deze verder teruggetrokken en vervangen door Field Ambulances. De eerste Commonwealthdoden werden bijgezet op de stedelijke begraafplaats (Poperinge Communal Cemetery). De Old Military Cemetery werd gebruikt tijdens de eerste slag om Ieper en werd gesloten, althans wat Commonwealthbijzettingen betreft, begin mei 1915. De New Military Cemetery werd in juni 1915 geopend.

Deze begraafplaats bevat 677 Commonwealthgraven en 274 graven van een andere nationaliteit waaronder 271 Fransen. De begraafplaats werd door Sir Reginald Blomfield ontworpen.

Bijzettingen (Commonwealth War Graves Commission):
  • Verenigd Koninkrijk: 597
  • Canada: 55
  • Australië: 20
  • Nieuw-Zeeland: 3
  • Andere Commonwealth: 2
  • Totaal Commonwealth: 677
  • Andere nationaliteiten: 274
Gerelateerde links
Andere items in Poperinge